Ugrás a tartalomra

Haltelepítési beszámoló és előrejelzés

2025. november 27.

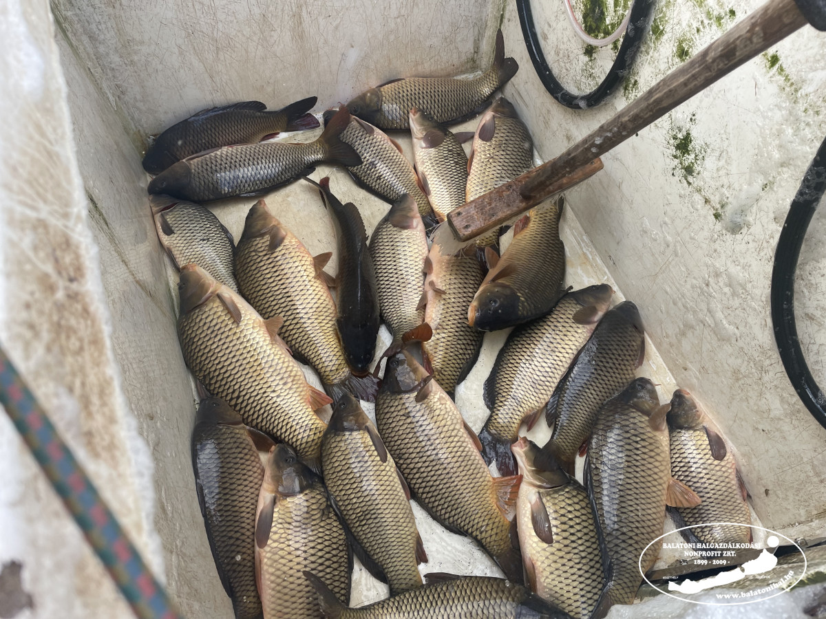
Ma délelőtt, három fuvarral összesen 7 890 kg háromnyaras pontyot telepítettünk a Balatonba. A mai telepítésekkel együtt idén összesen 292 299 kg-ot teljesítettünk a 300.000 kg-os éves telepítési kötelezettségünkből.

A mai halszállítmányokat Balatonlellén, a BAHART kikötőben engedtük le az autók kádjairól.

 

Holnap, a tógazdasági fogás függvényében az alábbi helyszíneken várható háromnyaras ponty és egynyaras süllőtelepítés:

  • Fonyód, Kutyás strand
  • Balatonlelle, BAHART kikötő
  • Siófok, BAHART kikötő
  • Tihany, BLKI kikötő
  • Alsóörs, Nyárfás horgásztanya

Akik a helyszínen szeretnék megtekinteni a munkát, kérjük a pontos időpontokért figyeljék percről percre tudósításunkat!

 

Az alábbi képekre kattintva lapozható galéria nyílik a mai haltelepítések képeivel:

Kedves Látogató! Tájékoztatjuk, hogy weboldalunkon a felhasználói élmény fokozásának érdekében sütiket használunk. Adatkezelési tájékoztató