Ugrás a tartalomra

Haltelepítési beszámoló és előrejelzés

2025. november 24.

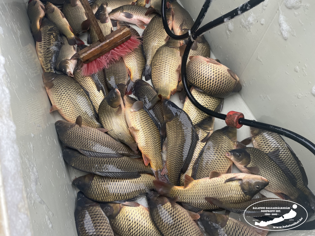
Ma Siófokon telepítettünk háromnyaras, fogható méretű pontyokat a Balatonba. A mai telepítésekkel együtt idén összesen 284 409 kg-ot teljesítettünk a 300.000 kg-os éves telepítési kötelezettségünkből.

A mai halszállítmányokat Siófokon, a BAHART kikötőben engedtük le az autók kádjairól. A mai két fuvarral összesen 6 600 kg pontyot telepítettünk a Balatonba.

Holnap, valamint az előttünk álló napokon a tógazdasági fogás függvényében az alábbi helyszíneken várható háromnyaras ponty és egynyaras süllőtelepítés:

  • Fonyód, Kutyás strand
  • Balatonlelle, BAHART kikötő
  • Siófok, BAHART kikötő
  • Tihany, BLKI kikötő
  • Alsóörs, Nyárfás horgásztanya

Akik a helyszínen szeretnék megtekinteni a munkát, kérjük a pontos időpontokért figyeljék percről percre tudósításunkat!

 

Az alábbi képekre kattintva lapozható galéria nyílik a mai haltelepítések képeivel:

Kedves Látogató! Tájékoztatjuk, hogy weboldalunkon a felhasználói élmény fokozásának érdekében sütiket használunk. Adatkezelési tájékoztató