Haltelepítési beszámoló és előrejelzés
2025. november 13.
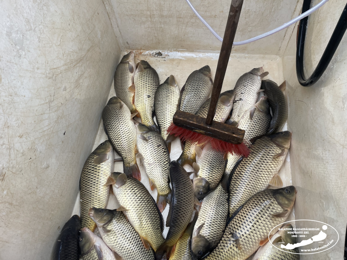
Ma két helyszínen összesen 8 550 kg háromnyaras, fogható méretű pontyot telepítettünk a Balatonba. A mai pontytelepítésekkel együtt idén összesen 255 272 kg-ot teljesítettünk a 300.000 kg-os éves telepítési kötelezettségünkből. A fennmaradó mennyiséget decemberig fogjuk a tóba juttatni.
Az első halszállítmány Fonyódra érkezett, a Kutyás strandra. Itt összesen 1 510 kg háromnyaras pontyot engedtünk le ponyva segítségével a Balatonba.
Az utolsó három halszállítmányt pedig a siófoki BAHART kikötőbe szállítottuk, ahol 7 040 kg fogható méretű pontyot engedtünk le a kádakról.
Holnap, a tógazdasági fogás függvényében az alábbi helyszíneken várható háromnyaras pontytelepítés:
- Fonyód, Kutyás strand
- Siófok, BAHART kikötő
- Tihany, BLKI kikötő
- Balatonlelle, kikötő
Akik a helyszínen szeretnék megtekinteni a munkát, kérjük a pontos időpontokért figyeljék percről percre tudósításunkat!
Az alábbi képekre kattintva lapozható galéria nyílik a mai haltelepítések képeivel:
A mai haltelepítések a MOHOSZ Állománypótlási és Fejlesztési Célelőirányzat (ÁPFE) pályázati támogatásával valósultak meg.
